El huracán 'Melissa' se perfila como el fenómeno más devastador que haya azotado a Jamaica en tiempos modernos.
Clasificado actualmente como una tormenta de categoría 5, el fenómeno avanza lentamente hacia la isla con una potencia que amenaza con arrasar comunidades enteras y alterar de manera irreversible el paisaje costero del Caribe.
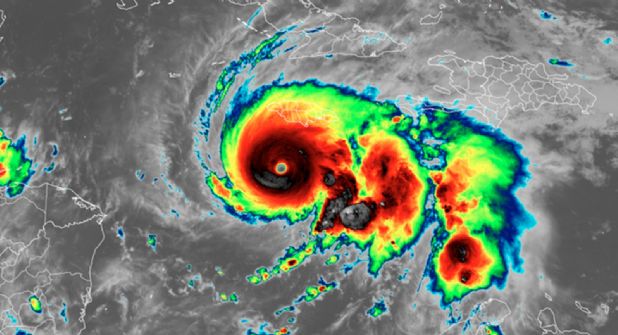
Huracán Melissa, el más letal en la historia de Jamaica
De acuerdo con el Centro Nacional de Huracanes, el sistema se encuentra a unos 240 kilómetros al suroeste de Kingston, desplazándose con lentitud peligrosa.
Te podría interesar
Los vientos sostenidos, que ya alcanzan velocidades superiores a los 250 kilómetros por hora, se intensifican mientras la lluvia comienza a cubrir gran parte del territorio jamaiquino.
Se prevé que el impacto directo ocurra durante la madrugada de este martes, con 'Melissa' manteniendo su estatus de huracán mayor.
En este momento, las condiciones ya se deterioran rápidamente: las ráfagas de tormenta tropical, presentes desde la mañana, se transformarán en vientos huracanados antes de la medianoche.
Costa sur, recibirá el impacto
La costa sur será la primera en recibir el embate, con posibles olas que superen los cuatro metros y una marejada ciclónica que podría elevar el nivel del mar hasta 13 pies sobre el suelo.
Sin embargo, el mayor peligro radica en la lluvia. Con precipitaciones estimadas entre 380 y 750 milímetros, con picos de más de mil en algunas zonas montañosas, los expertos advierten de inundaciones repentinas y deslaves catastróficos.
Las autoridades han ordenado evacuaciones preventivas en comunidades vulnerables, mientras brigadas de rescate y refugios de emergencia se activan en toda la isla.
Tras su paso por Jamaica, 'Melissa' continuará hacia Haití, República Dominicana y el oriente de Cuba, y se teme que dajará tras de sí un rastro de destrucción.
